ホーム >  お知らせ >  本日のおすすめ水草-パンタナル レッド ピンネイト 水上葉

  • CuoreFarm オンラインショップ水草屋

Facebook



お知らせ

本日のおすすめ水草-パンタナル レッド ピンネイト 水上葉

2016.08.25

本日のおすすめ水草のご紹介です。
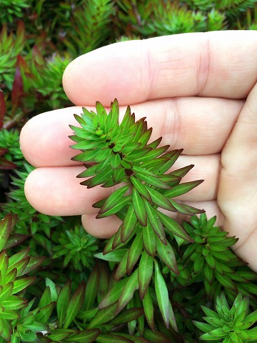
パンタナル レッド ピンネイト 水上葉
ルドウィジアの中でも細かく輪生した葉が特徴的な水草です。
水中では赤く色づき更に美しさを増します。
中景~後景向きです。

パンタナル レッド ピンネイト 水上 20160824 -1

パンタナル レッド ピンネイト 水上 20160824 -2

よろしくお願いします。

一覧に戻る

TOP